

| Ace Pictures |








| The following pics were taken in July of 2007 of Ace on his first trail ride. He did AWESOME! |
| The following pics were taken in 2005 of Ace working a buffalo. |














| These are pics of Ace from the time he was about 1 week old until he was a 2 year old. As you can see he has always been a tank and thick and stocky. |
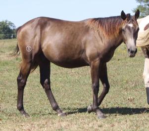
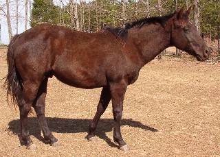
| Ace's Offspring |





| Ace's First Foals were born in 2007. So far all are black think he may be homozygous for the black gene. |








